Just because a vase only contains one stem, or multiples of the same stem, it's no less enjoyable. Long before Cathy's "in a vase" meme inspired me to put together actual "arrangements" I was still sticking stems (solo and otherwise) in vases. I've always found it difficult to just toss something in the yard waste bin that could be enjoyed inside the house.
Here last week's Ajuga reptans 'Black Scallop' are still looking grand, however they've been moved from the dining table to the kitchen.
Such long lasting cut flowers.
The Lewisia from last week's vase outlasted it's companions, so it was pulled and put in a small black vase in the bathroom.
Since the bright pink reminded me of cactus flowers I stuck my (sadly) non-rooted Ocotillo cuttings in the vase too.
It's a fun pairing.
I've had a life-long crush on the foliage of Aesculus hippocastanum, aka horse-chestnuts.
So when I noticed my grafted Aesculus hippocastanum 'Laciniata' (cut-leaf horse-chestnut — shown below) had sent out a bit of foliage below the graft...
Well I had to cut it and put it in a vase.
What will I do if it roots!?
I love Solomon's seal, (Polygonatum), but over time have greatly reduced the space they're allowed in my garden.
Even so they're starting to crowd the Schefflera delavayi, which frankly is unacceptable.
Time to cut a couple of those stems and see how they perform in a vase. If they do okay I may be cutting more...
But wait, there's also a mystery. Way over on the other side of the garden, where that orange arrow is, I've discovered...
That little plant. Which looks to be another Polygonatum.
And there's another about 10 ft away! I don't recall ever seeing fruit/seeds form on my plants and I certainly haven't ever transplanted anything growing near them. How did these get here?
So getting back to the business at hand, the Solomon's seal in a vase...
Andrew said it looks like a creature taking flight.
Out in the garden I love seeing big bumbles wedged up in the flowers, of course that won't be happening indoors, but the scent is still lovely.
One more vase to share, although these sweet flowers didn't come from my garden.
No, they were an impulse purchase at Trader Joe's.
I adore Ranunculus and remembered Andrew selecting a pastel bunch a few months back.
What the heck, they went in my basket.
There is no such thing as too many vases full of flowers...
Weather Diary, May 7: Hi 66, Low 42/ Precip 0
All material © 2009-2017 by Loree Bohl for danger garden. Unauthorized reproduction prohibited and just plain rude.
Here last week's Ajuga reptans 'Black Scallop' are still looking grand, however they've been moved from the dining table to the kitchen.
Such long lasting cut flowers.
The Lewisia from last week's vase outlasted it's companions, so it was pulled and put in a small black vase in the bathroom.
Since the bright pink reminded me of cactus flowers I stuck my (sadly) non-rooted Ocotillo cuttings in the vase too.
It's a fun pairing.
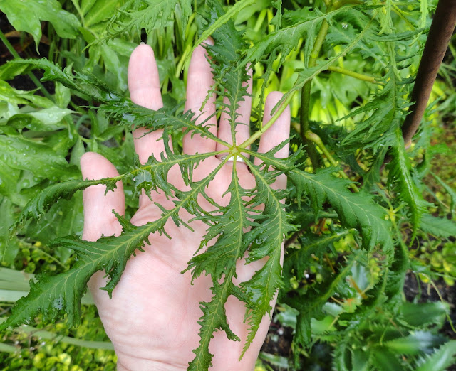
I've had a life-long crush on the foliage of Aesculus hippocastanum, aka horse-chestnuts.
So when I noticed my grafted Aesculus hippocastanum 'Laciniata' (cut-leaf horse-chestnut — shown below) had sent out a bit of foliage below the graft...
Well I had to cut it and put it in a vase.
What will I do if it roots!?
I love Solomon's seal, (Polygonatum), but over time have greatly reduced the space they're allowed in my garden.
Even so they're starting to crowd the Schefflera delavayi, which frankly is unacceptable.
Time to cut a couple of those stems and see how they perform in a vase. If they do okay I may be cutting more...
But wait, there's also a mystery. Way over on the other side of the garden, where that orange arrow is, I've discovered...
That little plant. Which looks to be another Polygonatum.
And there's another about 10 ft away! I don't recall ever seeing fruit/seeds form on my plants and I certainly haven't ever transplanted anything growing near them. How did these get here?
So getting back to the business at hand, the Solomon's seal in a vase...
Andrew said it looks like a creature taking flight.
Out in the garden I love seeing big bumbles wedged up in the flowers, of course that won't be happening indoors, but the scent is still lovely.
One more vase to share, although these sweet flowers didn't come from my garden.
No, they were an impulse purchase at Trader Joe's.
I adore Ranunculus and remembered Andrew selecting a pastel bunch a few months back.
What the heck, they went in my basket.
There is no such thing as too many vases full of flowers...
Weather Diary, May 7: Hi 66, Low 42/ Precip 0
All material © 2009-2017 by Loree Bohl for danger garden. Unauthorized reproduction prohibited and just plain rude.
